Does Your Blueberry Plant Have Red Leaves? Here’s How to Fix it
Did you recently plant a blueberry plant in your garden or yard, only to find its leaves are turning red? What could be causing the leaves to turn colors when they normally should be healthy and green? In this article, amateur gardener Jason White helps troubleshoot why your blueberry plant has this problem, and how to fix it.
Contents
Blueberries are a true American favorite fruit. They are used in desserts all over the US, and also are great as an antioxidant-rich snack. If you love blueberries, you may have taken to growing them in your own garden. However, as with all gardening endeavors, you may run into some problems that can endanger the health of your blueberry plant. One such problem is your blueberry plant’s leaves turning red.
In the case of the change of the seasons, when autumn rolls around, it’s perfectly normal to see your blueberry plant’s leaves change from green to a red hue. However, if you notice the colors changing during other parts of the year, this is usually indicative of a much larger problem. You will want to address this as soon as possible to keep your plants in the best health.
In this article, you’ll learn everything you need to know about reddening blueberry leaves. You’ll learn all about keeping a healthy blueberry plant and the many reasons why its leaves turn red. You’ll also learn solutions for each common cause, along with a few of the most frequently asked questions about their care to set you at ease about their care. Let’s take a closer look!
What Keeps Blueberry Leaves Green?

Most plants have green leaves because of different chemical compounds within the leaves; these compounds happen to be green. The most important and abundant green chemical in leaves is chlorophyll. This is especially vital to the plant as it is what enables the plant to photosynthesize – essentially, make food for itself by way of water, air, and sunlight.
It’s crucial the leaves of blueberry plants stay green since this is what allows them to stay nourished. Otherwise, you would find the plant’s health failing, as it cannot sustain itself. While you can supplement the nourishment by feeding it with fertilizer, this does not always get to the root cause of the problem.
What Makes Blueberry Leaves Turn Red?

With this in mind, blueberry leaves turning red can really be cause for concern. There are a few different reasons for leaves turning red out of season. You could be looking at any number of deficiencies in nutrients. There is also the potential for a number of diseases to have taken hold of your plant, some of which can cause your blueberry plant to die.
It’s important to diagnose the problem as soon as possible so that you can find a solution for it. While it may be tricky to determine the exact cause of a blueberry plant’s leaves turning red, we’ve outlined some common problems that can help you identify the issue. We’ve also provided you with solutions that can help you bring your plant back to perfect health. Keep reading to learn more about these problems, and what you can do to fix them.
Problem 1: Deficiencies
The first issue you need to look into is a possible deficiency of a nutrient in your plant’s soil. It’s first important to learn that blueberries need fairly acidic soil in order to thrive. You are looking to give them a soil pH of around 4.5 to 5.0. Anything over 5.0 will be bad for your plant.
When you are faced with a deficiency of a certain nutrient, you should do what you can to supplement your plant with what it is lacking. This usually solves the problem. Let’s take a look at this a bit further.
Phosphorus Deficiency

If you notice that your blueberry leaves are turning maroon-red in the springtime, this could be an indication of a phosphorus deficiency. The reddening of the leaves comes from increased anthocyanin synthesis, usually stemming first from the older parts of the plant.
To check for phosphorus deficiency, you can start by monitoring the soil temperature. If the soil’s temperature at the root area is below 60 degrees Fahrenheit, it’s more likely that the plant will not be able to absorb as much phosphorus. Another thing to keep in mind is that when your blueberries are planted in soils with a pH of 5.5 or higher, they will definitely struggle to absorb nutrients, including phosphorus. This will darken the leaves, eventually turning them into that dreaded red color.
Solution: Increase Soil Acidity
Increasing the soil’s acidity will definitely help bring your plant back to its former glory. There are a few different ways to do this, though they all involve adding some sort of organic matter to lower soil pH. Mulching your soil will also help with nutrients, but also keep the temperature of the soil at a warm enough level to allow for better phosphorus absorption.
Some things you can add to the soil around your blueberry plants are elemental sulfur, composted manure (though not dog or cat manure), peat moss, alfalfa meal, and dried leaves.
Magnesium Deficiency

Another problem you may encounter when dealing with nutrient deficiencies in your blueberry plants’ soil is magnesium deficiency. You can spot this if you notice the veins in your plant’s leaves turning red. Since the leaves are lacking magnesium, they cannot produce as much chlorophyll.
As we’ve learned, this means that they can’t get the nutrients they need from photosynthesis. Over time and similar to other plants, the leaves will yellow, then turn entirely red. You will notice this first in the youngest leaves on the plant. This can lead to a variety of diseases, so it needs to be stopped immediately.
Solution: Add Epsom Salt
Thankfully, the solution to a magnesium deficiency in your blueberry plants is to simply add epsom salt. Epsom salt is composed of hydrated magnesium sulfate, or simply, magnesium and sulfur.
Adding some of the salt to the soil around your plant should remedy the magnesium deficiency and bring the leaves back to a nice, green color. It may even have the added effect of the plants growing more foliage, becoming much bushier and better to look at. Side dress with no more than a tablespoon per plant.
General Nutrient Deficiency

Ultimately, it’s also possible for your plants to simply lack general nutrients. This can cause leaves to turn a purplish red, which is highly detrimental to your plants’ health. There are a few causes for general nutrient deficiency.
It could be that the soil around your plant is waterlogged. It could also be that the nutrients in the soil are simply too poor to keep your plants healthy. Both conditions can be fatal for your blueberry plants, so it’s important to act fast when you see the symptoms pop up.
Solution: Change Watering and Feeding Habits
As such, you should adjust watering habits to be less frequent; overwatering with poor drainage can cause a variety of problems, including red leaves and even rot. You can choose to mix bark, like pine bark, into the soil in order to improve it.
When checking for nutrient deficiency, it’s a good idea to have the soil tested. You can purchase a soil testing kit to do this yourself. Upon receiving the results, you can alleviate the conditions of the soil by adding compost or fertilizer. Test regularly until soil nutrients are at an acceptable level.
Problem 2: Diseases
Beyond deficiencies, your blueberry plants may have their leaves turning red because they’ve contracted a disease. These are also highly serious conditions and must be treated as soon as possible. This is especially true if you are growing blueberries commercially, as these diseases can spread quickly and become difficult to control. Let’s take a good look at the different types of diseases that can affect your plants and cause their leaves to turn red.
Fungal Disease

Fungal diseases are fairly common in plants, and your blueberry plants are not immune to them either. Two of the most common fungal diseases are phomopsis twig blight and powdery mildew.
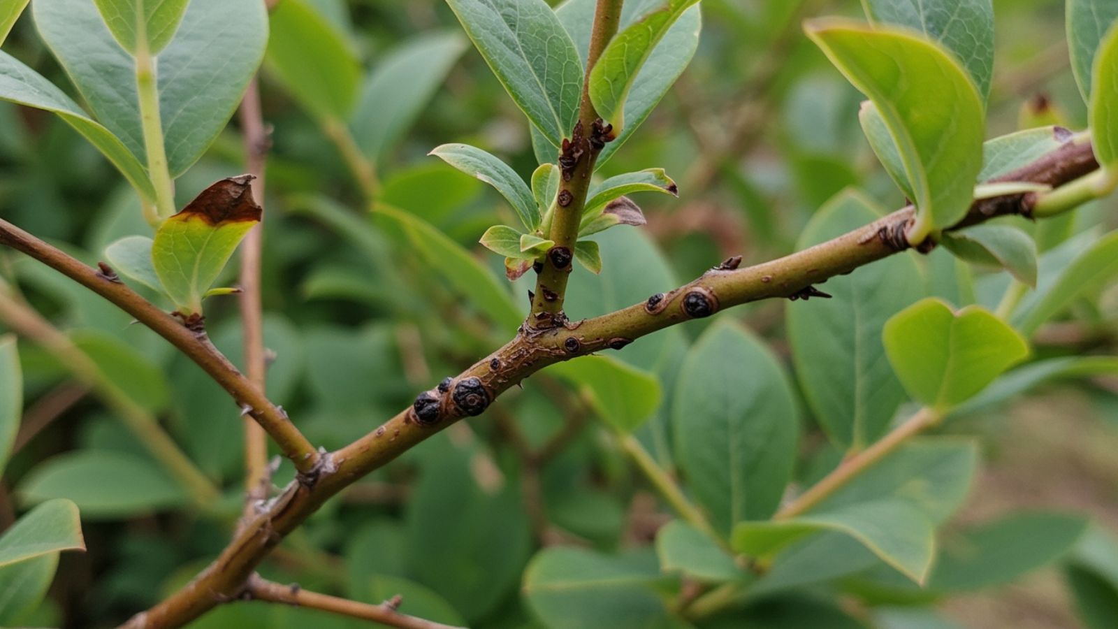
Phomopsis Twig Blight

Phomopsis twig blight can be identified when you see a necrotic, brown lesion forming on the twigs of the plant. Spots will then start to develop on the twigs, soon followed by the wilting of leaves even in the summertime, when the plants are supposed to be at their most vigorous.
Finally, you will see the leaves turning from a bright green to a brown or red color. You may also see your hard-earned berries rotting at harvest time, which is terrible news for everyone!
Solution: Prune and Destroy Infected Twigs
During the dormant season, you should carefully prune all the infected twigs until you are left only with healthy growth. Destroy these twigs as soon as possible; one effective way of doing this is burning them, provided that you do it outdoors.
While the plants are recovering, avoid overhead irrigation, as this will limit the spread of the pathogens. Lastly, apply lime sulfur to breaking leaf buds. You can create a good lime sulfur spray by suspending some in water, just be sure to have personal protective equipment on and follow the instructions on the lime sulfur packaging.
Powdery Mildew

Powdery mildew is a common fungal disease that affects many plants. The fungus Erysiphe vaccinii causes this disease, and it can be pretty nasty on our beloved blueberry crops. For the first few days of infection, you will see a fluffy white substance on the surface of the leaf, either above or below. Over time, the leaves will begin to yellow before eventually developing red borders and falling off the plant entirely.
Solution: Proper Air Circulation and Apply Fungicide
To prevent the spread of powdery mildew, it’s a good idea to give your blueberry plants ample spacing between each other so as not to encourage contamination. Giving them enough air can help reduce humidity, which can help.
To treat powdery mildew, prune the plant as necessary, and apply a fungicide with sulfur as the main ingredient. This should prevent the problem from spreading to other areas of the plant.
Bacterial Disease

Bacterial disease is a real issue that can affect your blueberry plants too. One particular disease, known as blueberry leaf scorch, is one such disease that can make your plants’ leaves turn red. The bacteria that causes this disease is known as Xylella fastidiosa. The disease restricts the flow of water and nutrients within the plant, caused by the bacteria’s sap. This causes the plant to produce fewer leaves and fruit, making the leaves on the plant turn red from lack of nutrients.
Solution: Remove and Destroy Contaminated Plants
The only real way to rid your plants of this disease is to rid your garden of infected plants. Pull up any plants that have contracted the disease and burn them properly. It can be difficult to control, as any pests that come into contact with the diseased plants can spread the disease from one plant to the next.
In this case, the best thing you can do is prevent the disease from recurring, or from happening in the first place. You can do this by using neonicotinoid products such as thiamethoxam to prevent your plants from contracting the disease.
Viral Disease

Viral disease can affect blueberry plants, too. One common viral disease that affects them, and causes their leaves to turn red is the blueberry shoestring virus. This is a prominent disease among highbush and lowbush blueberry plants throughout the United States.
You will see reddish streaking on the stems and leaves of the plant. The disease is spread via the aphid vector Illinoia pepperi. When left uncontrolled, this disease can seriously affect yield and prevent any useful harvest at all. As such, it should be taken care of immediately.
Solution: Eliminate the Aphid Vector
Eliminating the aphid vector by means of biological, chemical, or cultural controls can really make all the difference in stopping the spread of this virus. Use a strong stream of water from a hose to knock them off the plant. You can opt to use an insecticidal soap to control the aphids, which often proves to be effective. Once the infection has been detected, it’s important to remove and destroy any affected parts of the plant to prevent further spread.
Problem 3: Cold Weather

Lastly, as previously mentioned, your blueberry plants may have their leaves turning red simply because of the turning of the seasons. You can expect the leaves to turn reddish-brown as fall comes.
This is a completely normal process and shouldn’t be cause for alarm. Instead, take care to give your blueberry plants the adequate attention they need to survive through the winter for a productive, fruitful year ahead!
Frequently Asked Questions
What special care do my blueberry plants need?
Blueberry plants aren’t especially finicky, but still have special requirements. They require a lower soil pH than most plants do, so take care that the soil you plant them in is acidic.
As mentioned earlier, this can prevent a host of deficiencies that can otherwise turn your plant’s leaves red. When watering them, do it in the daytime. Keep the soil at a good moisture, but do not overwater. Bear in mind that watering needs will change as your plant grows.
An inch per week as they grow is good, but 4 inches per week during fruiting season is especially important. Fertilize them in early spring, and again in early summer. Pruning needs aren’t too effort-intensive; simply cut back the plant to prevent overgrowth, as well as to remove diseased, broken, or otherwise dead growth.
How can I prevent a disease from causing red leaves?
Prevention is always better than cure. You can prevent disease by ensuring that your plants have their needs met. Keep the soil at a good pH, and ensure that there is enough space between your plants.
Overcrowding can lead to the spread of fungus and other diseases. Use a good pesticide to prevent viral infections from spreading, too. As previously mentioned, pruning a blueberry plant can also do well in preventing the spread of disease.
When can I expect my blueberry plants to bear fruit?
It will take a blueberry plant 2 to 3 years to produce fruit after they’ve been planted. When mature, it will produce berries from June through August, after a blooming period in the spring and early summertime. Full blueberry production comes at around the 6-year mark, so ensure that your plants are well cared for to get the maximum yield!